logo
|
Blog
  • ODE clinic (ENG)
Lifting

Ultherapy Reviews: Before & After Results, Pricing, Comparison with Thermage

A complete guide to Ultherapy covering how it works, before-and-after results, pricing, and key differences vs Thermage for lifting and skin tightening.
도훈's avatar
도훈
Apr 26, 2026
Ultherapy Reviews: Before & After Results, Pricing, Comparison with Thermage
Contents
Understanding Ultherapy: The Core MechanismThe Principle: HIFU (High-Intensity Focused Ultrasound)Beyond “Lifting”: The Concept of Tissue RepositioningIdeal Treatment AreasUltherapy vs. Thermage: Key DifferencesLifting vs. TighteningUltherapy Before & After: What to Expect Over TimeCase 1: Patient in Her 40sCase 2: Patient in Her 60sTreatment Cost and Pricing ConsiderationsFinal Considerations

Even for those who have never visited a dermatology clinic in Korea, Ultherapy is likely a familiar name. Widely recognized as a leading non-invasive lifting treatment, it has established strong credibility and is often regarded as a benchmark in facial rejuvenation.

For individuals considering their first session, this guide provides a structured overview—including real treatment outcomes, before-and-after changes, cost considerations, and how it compares with Thermage.

Ultherapy Equipment Concept Image
Ultherapy Equipment Concept Image

Understanding Ultherapy: The Core Mechanism

The Principle: HIFU (High-Intensity Focused Ultrasound)

The name “Ultherapy” is derived from a combination of ultrasound and therapy, reflecting its fundamental mechanism. This device utilizes focused ultrasound energy to reach deeper layers of the skin without disrupting the surface.

Much like diagnostic ultrasound used in medical check-ups, these waves can penetrate beneath the skin. However, unlike imaging ultrasound, Ultherapy concentrates energy at precise depths to induce controlled thermal effects.

Focusing Sunlight with a Magnifying Glass to Burn
Focusing Sunlight with a Magnifying Glass to Burn

A helpful analogy is the use of a magnifying glass to focus sunlight into a single point. In a similar way, Ultherapy concentrates ultrasound energy to create thermal coagulation points (TCPs), where temperatures exceed 60°C.

This process leads to:

  • Immediate contraction of targeted tissue

  • Gradual collagen regeneration over time

Beyond “Lifting”: The Concept of Tissue Repositioning

There is a common misconception that “lifting” implies physically pulling the skin upward. In reality, Ultherapy works by tightening and re-adhering loosened tissue, helping it return closer to its original structural position.

Actual Effects of Lifting Treatments
Actual Effects of Lifting Treatments

Rather than adding volume, the procedure focuses on refining contours. Therefore, in cases where volume loss is a primary concern, additional treatments may be required.

Ideal Treatment Areas

Ultherapy Device Screen
Ultherapy Device Screen

Ultherapy is particularly effective in areas where structural sagging is more prominent.

Clinically, the treatment is most beneficial for:

  • Jawline definition

  • Double chin improvement

In contrast, areas such as the nasolabial folds are not the primary target. Additionally, certain regions along the jawline—especially where nerves are present—must be avoided for safety, which further limits its effectiveness in directly addressing jowl folds.

Before and After Ultherapy 300 Shots Treatment

For concerns such as deeper smile lines or localized sagging, combination approaches using treatments like CoolSoniq, XERF, or Emface may be more appropriate.

Before and After Jowl Reduction
Before and After Jowl Reduction

Ultherapy vs. Thermage: Key Differences

Lifting vs. Tightening

The distinction between Ultherapy and Thermage can be summarized through their primary mechanisms:

  • Ultherapy (Lifting):
    Targets deeper structural layers to improve sagging by repositioning tissue

  • Thermage (Tightening):
    Focuses on the superficial dermal layer to enhance skin elasticity and smoothness

Before and After Thermage 600 shots Treatment
Before and After Thermage 600 shots Treatment

A patient treated with 600 shots of Thermage at Ode Clinic demonstrated a noticeable improvement in skin firmness and elasticity, with a visibly tighter, “snap-back” texture, while the underlying structural sagging, such as jowls, showed minimal change.

Feature

Ultherapy (Lifting)

Thermage (Tightening)

Primary Goal

Contour definition (jawline)

Skin firmness & texture

Core Effect

Reduces sagging (adhesion)

Improves elasticity (firming)

Target Layer

Deep SMAS layer

Superficial dermis

Because these two treatments act on different layers, many patients opt for a combined approach—often referred to as “Ulthermage”—to achieve more comprehensive rejuvenation.


Ultherapy Before & After: What to Expect Over Time

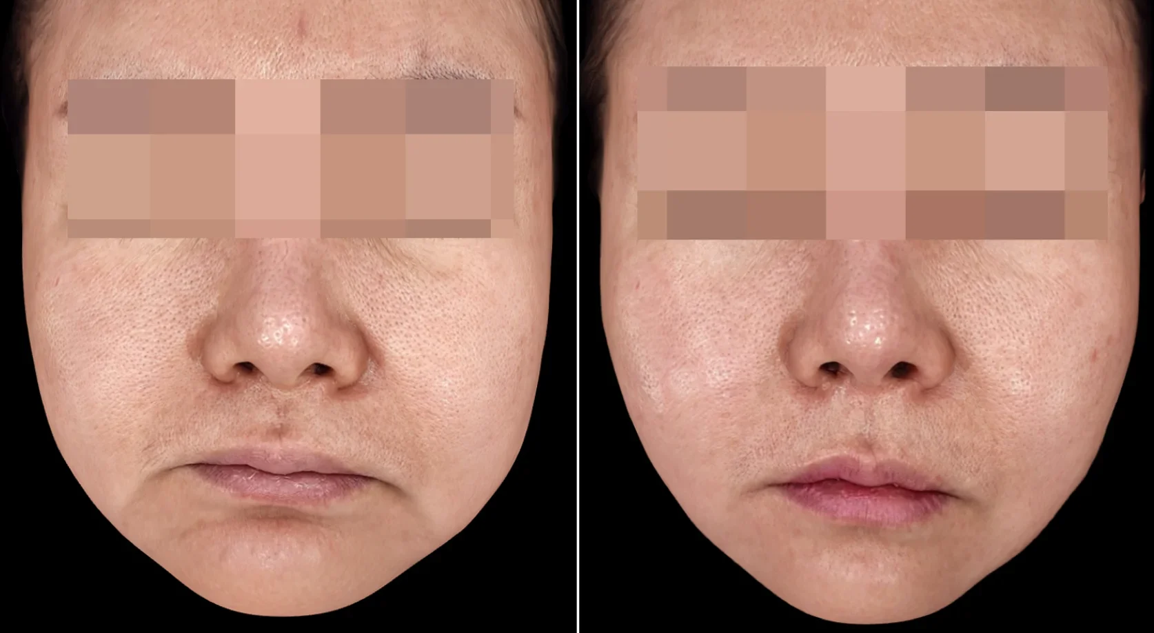
Case 1: Patient in Her 40s

Before and After Ultherapy 400 Shots Treatment

  • Protocol: Ultherapy, 400 shots

  • Evaluation Point: 7 months post-treatment

Clinical Observation:


A noticeable reduction in lower-face heaviness was observed, particularly along the jawline. The overall contour appeared more refined, and secondary areas such as the nasolabial folds and jowls looked softer.

While the peak lifting effect is typically seen around 2 to 3 months, this case demonstrated that a well-executed treatment can maintain a defined and lifted appearance even at the 7-month mark.

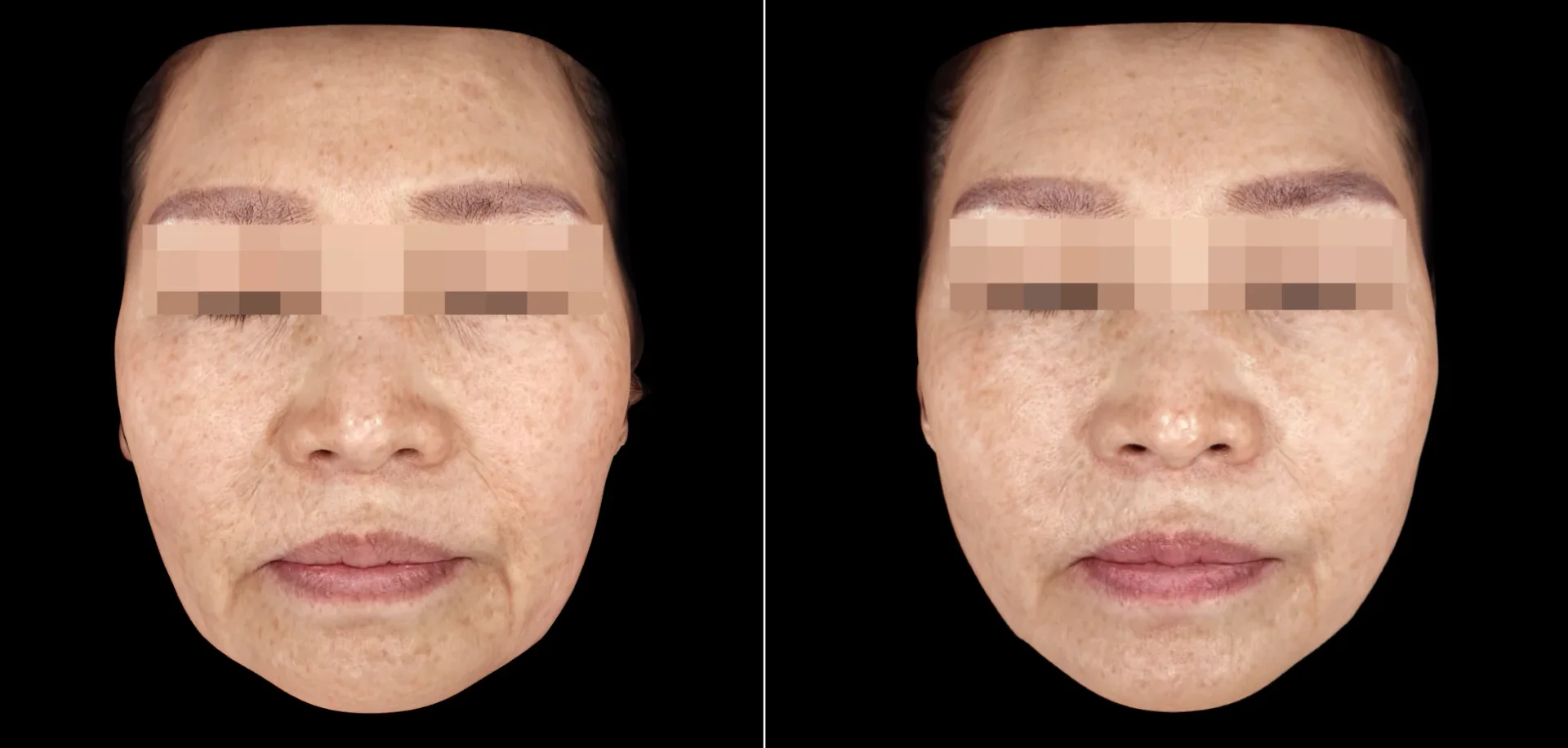
Case 2: Patient in Her 60s

Before and After Ultherapy 400 Shots Treatment
Before and After Ultherapy 400 Shots Treatment

  • Protocol: Ultherapy, 400 shots

  • Evaluation Point: 5 months post-treatment

Clinical Observation:
Despite more advanced skin laxity, there was a clear improvement in jawline definition. This highlights that Ultherapy can remain highly effective even in mature patients when performed with proper technique and planning.


Treatment Cost and Pricing Considerations

As a premium medical device, Ultherapy is positioned at the higher end of the pricing spectrum. However, many patients find that undergoing a single, properly planned session delivers greater value compared to multiple sessions of less effective treatments.

Ultherapy Pricing (ODE Clinic):

  • Ultherapy 100 shots: 400,000 KRW

In most clinical cases, a total of 300 to 600 shots is typically recommended to achieve visible and lasting results, although this may vary depending on individual anatomy and treatment goals.


Final Considerations

This overview has covered the fundamental principles of Ultherapy, its clinical effects, how it differs from Thermage, and what to expect in terms of outcomes and cost.

Ultimately, the most important factor is whether the treatment is appropriate for your specific facial structure and concerns. A personalized, one-on-one consultation with the treating physician remains essential in determining the most effective approach.

Key Takeaway

Ultherapy is a highly effective lifting procedure when used appropriately, particularly for improving facial contours such as the jawline. However, optimal results depend on accurate diagnosis, proper technique, and a well-structured treatment plan.

This concludes the guide from
Do-hoon Kim, ODE Clinic.


Gangnam Dermatology Clinic, ODE Clinic
8th Floor, 340 Gangnam-daero, Gangnam-gu, Seoul, Korea
+82-2-569-0222


Author: Dr. Dohoon Kim, Chief Director of ODE Clinic
Specialty: Anti-aging (Lifting, Volumizing, etc.)

Medical Disclaimer: This post is for informational purposes only. All medical procedures carry risks of side effects such as bruising, swelling, infection, or nodules. Please consult with a qualified medical professional before undergoing any treatment.

Share article

ODE CLINIC : GANGNAM SKIN CLINIC in SEOUL

RSS·Powered by Inblog